Ben je klaar voor een snorkelvakantie op Madeira?
Deze begeleide snorkelervaring duurt 2 uur en begint bij het ontmoetingspunt, gelegen bij de Azul Diving Center binnen het Quinta Calaça complex in Funchal. Afhankelijk van de omstandigheden op zee gaat u aan boord van een boot met een maximale capaciteit van 10 deelnemers of gaat u direct vanaf de kust te water om het beschermde Funchal Eco-Park te verkennen. Alle essentiële uitrusting, waaronder een masker van hoge kwaliteit, snorkel, vinnen en een comfortabel wetsuit, wordt verstrekt om ervoor te zorgen dat u een veilige en plezierige tijd heeft in de Atlantische Oceaan.
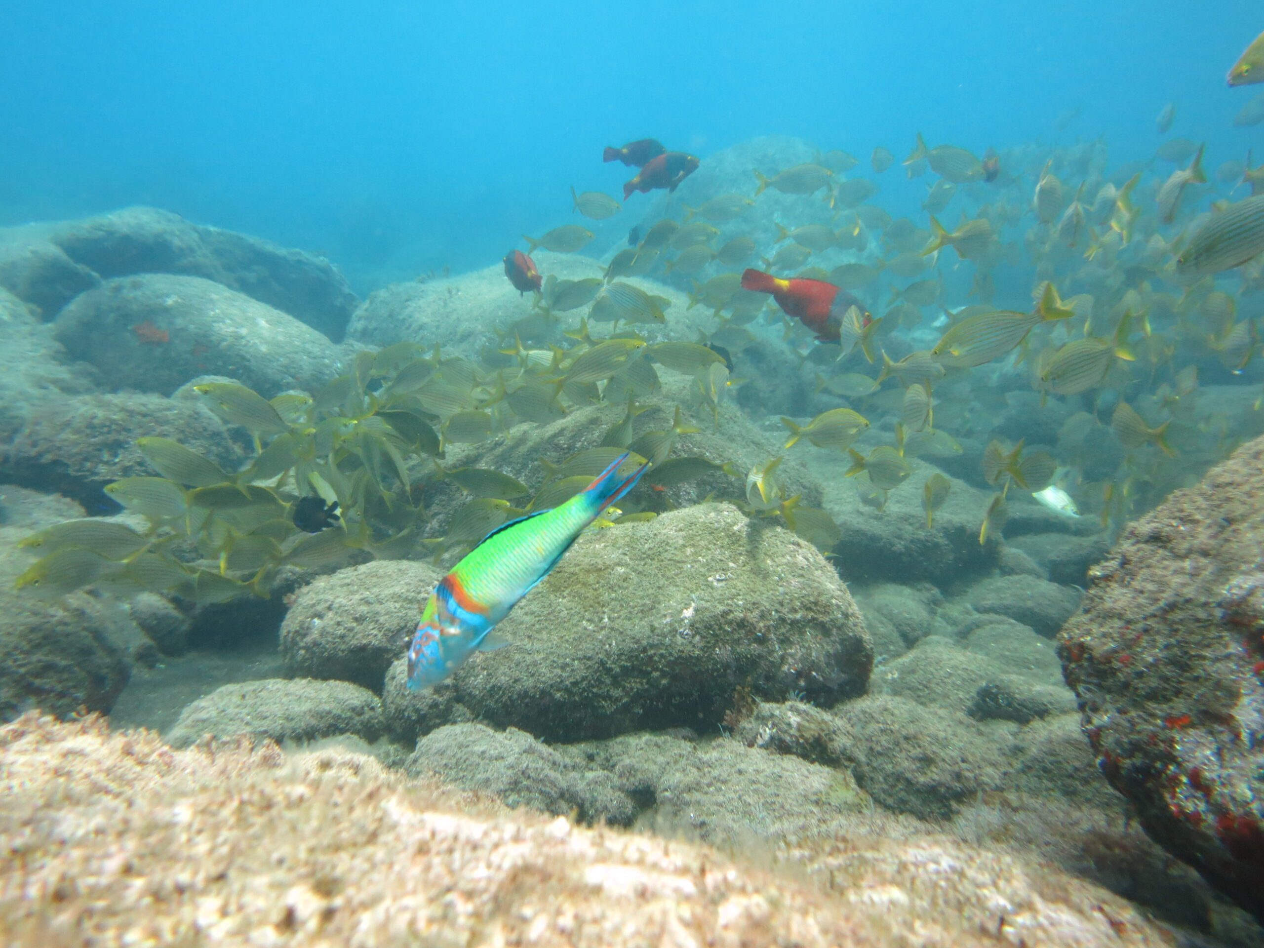
Duik in het kristalheldere water van Madeira en ontdek waarom dit eiland een topbestemming is voor natuurliefhebbers. Begeleid door een professionele marinemeester vaart u door rotsachtige riffen vol leven. Houd uw ogen open voor kleurrijke papegaaivis, Nieuwsgierige octopus, en verschillende soorten roggen die deze vulkanische wateren bezoeken. De gids zal u helpen de verschillende vissen en planten te identificeren, wat dit een leuke en leerzame ervaring maakt voor iedereen.
De rustige en beschutte omgeving van de Ecopark maakt deze activiteit perfect voor families en beginners. Je zult je compleet ontspannen voelen terwijl je op het oppervlak zweeft en de onderwaterwereld voorbij ziet glijden. Doordat de groepen klein zijn, krijg je volop persoonlijke aandacht en tips over hoe je je uitrusting goed gebruikt. Na je zwemtocht kun je gebruikmaken van de faciliteiten van het duikcentrum om je op te frissen. Het is een geweldige manier om de verborgen schoonheid van de kustlijn van het eiland te ervaren!














